Sea Devil | Catastrophic Typhoon | Hurricane Melissa | Category 5 Catastrophic Typhoon: बेचैन समंदर ने ली अंगड़ाई, हौले-हौले कदम बढ़ा रहा है ‘विनाश’, बेबस हुए लोग बोले- ‘अब मरना ही होगा’

Agency:एजेंसियां
Last Updated:October 28, 2025, 11:26 IST
Ocean Catastrophic Typhoon: समुद्र में उठ रहे दबाव और गर्मी की वजह से एक ऐसा विनाश पैदा हुआ है, जिससे आसपास के इलाके के लोग डरे हुए हैं. हम बात कर रहे हैं उस तबाही की, जो धीरे-धीरे जमैका, हैती और क्यूबा की ओर बढ़ रहा है. इसके भयावह रूप को देखते हुए बहुत से लोग तो मान बैठे हैं कि उनकी ओर साक्षात मौत आ रही है. 
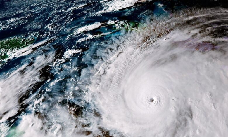
हरीकेन मेलिसा ( Melissa) एक तूफानी बादल से विकसित होकर अब कैरिबियन के लिए घातक खतरा बन चुका है. यह सिस्टम वेस्ट अफ्रीका तट के पास से निकले ट्रॉपिकल वेव यानि लहरदार बादल के रूप में शुरू हुआ था लेकिन अटलांटिक पार होते-होते 21 अक्टूबर को ट्रॉपिकल स्टॉर्म में बदल गया. समय के साथ यह कैरिबियन सी में तेजी से मजबूत हुआ और भीषण तूफान में बदल गया.

मेलिसा तूफान अब जमैका की ओर बढ़ रहा है और समुद्र तट से जल्दी ही टकराने की आशंका है. उसके बाद तूफान पूर्वी क्यूबा के ऊपर से गुजरते हुए हैती-डोमिनिकन रिपब्लिक के ऊपर भारी वर्षा और तटीय कटाव ला सकता है. आगे बढ़कर बहामास और टर्क्स एंड कैकोस आइलैंड्स पर भी इसका असर हो सकता है.

एनएचसी और प्रमुख मौसम साइटें कुछ क्षेत्रों में 30–40 इंच तक कुल वर्षा का अनुमान लगा रही हैं. खासतौ पर जमैका, हैती और डोमिनिकन रिपब्लिक के पहाड़ी-क्षेत्रों में, जिससे भूस्खलन और फ्लैश-फ्लड की भयावह आशंका है. स्टॉर्म सर्ज भी स्थानीय तटीय इलाकों में 9–13 फीट तक पानी ला सकता है.

एनएचसी तथा मौसम एजेंसियों ने मेलिसा को मेजर हरीकेन बताया है. ये तूफान घातक है, लेकिन ये धीरे-धीरे आगे बढ़ेगा, जो प्रभावित इलाकों में ज्यादा नुकसान पहुंचाएगा. शुरुआत में तेज हवाएं 145 मील-प्रति-घंटा से ऊपर दर्ज की गईं और बाद में इसकी तीव्रता बढ़कर Category-5 यानि सबसे घातक तूफान तक पहुंच गई. कुछ रिपोर्टों में अधिकतम स्थायी हवाओं का आंकड़ा 160–175 मील/घंटा तक बताया गया है, जो विनाशकारी होगा.

जैसा हमने पहले ही बताया कि आम तूफानों की तरह मेलिसा तेजी से आकर गुजरेगा नहीं बल्कि इसका सबसे खतरनाक पहलू धीमा गति से आगे बढ़ना है. मेलिसा केवल कुछ माइल्स प्रति घंटे की रफ्तार से सरक रहा है, जिससे एक ही जगह पर बरसात लंबी और घनी होगी. यही वजह है कि लोग डरे हुए हैं और उन्हें चेतावनी दी जा रही है कि घरों में बंद रहें.

तूफान से प्रभावित होने वाले क्षेत्रों में जमैका का किंग्सटन, पोर्ट रॉयल और पूर्वी तटीय इलाकों में खतरा ज्यादा है क्योंकि ये ऐतिहासिक रूप से तूफान सेंसिटिव हैं. हैती और डोमिनिकन रिपब्लिक के पहाड़ी इलाकों में भूस्खलन और नदी के उफान का जोखिम है. वहीं पूर्वी क्यूबा, बहामास, टर्क्स-एंड-कैको में तेज हवाएं और हाई टाइड आ सकता है.

हैती में तो लोगों को शेल्टर होम में ले जाया गया है. जो लोग तूफान के पहले चरण की बारिश देख चुके हैं, उनमें से कई तो मान चुके हैं कि अब उन्हें मरना ही होगा. रॉयटर्स न्यूज एजेंसी से बात करते हुए एक विस्थापित हुए निराश शख्स ने कहा कि हमारे हाथ में कुछ नहीं है. अगर तूफान टकराया तो हमें मरना ही होगा. इसके अलावा कोई चारा ही नहीं है.

जमैका और क्यूबा ने आपात-शेल्टर्स खोल दिए और हजारों लोगों को निकाला जा रहा है. जमैका में सैकड़ों शेल्टर बनाए गए हैं और कई हवाई अड्डे बंद कर दिए गए हैं. क्यूबा ने लाखों नागरिकों को सुरक्षित स्थानों पर ले जाने की कार्रवाइयां शुरू कर दीं. स्थानीय प्रशासनों ने बिजली-पानी आपूर्ति, बचाव-दल और राहत स्टॉक तैनात कर लिए हैं लेकिन चुनौती यह है कि कई लोग शरणार्थी-केंद्र में जाने से कतराते दिख रहे हैं. (All Photos Credit- Reuters)
First Published :
October 28, 2025, 11:26 IST
homeworld
बेचैन समंदर ने ली अंगड़ाई, हौले-हौले कदम बढ़ा रहा है ‘विनाश’, बेबस हुए लोग



